- Suzana Luković Novinar rubrike svet
Najveću opasnost nose Karibi sa 35% šanse za veliki uragan, dok Meksički zaliv ima 20%, a istočna obala SAD 15%
Meteorolozi savetuju građanima da već sada provere svoje osiguranje, planove bezbednosti i pripreme zalihe za vanredne situacije, jer sezona uragana traje od 1. juna do 30. novembra
Vodeći naučnici za uragane sa Univerziteta u Koloradu objavili su, u novoj prognozi za 2026. godinu, da postoji 32 odsto šanse da veliki uragan, koji može da izazove katastrofalnu štetu, pogodi obalu Sjedinjenih Američkih Država (SAD).
– Dovoljan je samo jedan uragan u vašoj blizini da ova sezona postane aktivna za vas – izjavio je Majkl M. Bel, profesor atmosferskih nauka na Državnom univerzitetu Kalifornije.
Prognoza predviđa 13 imenovanih oluja, uključujući:
- 6 uragana
- 2 velika sistema dovoljno snažna da dostignu jačinu kategorije 3, sa vetrovima od najmanje 179 kilometara na sat
Čak i sa ukupnim brojem nešto ispod proseka, stručnjaci upozoravaju da sezona i dalje može doneti opasne i razorne udare na kopno.
“Dovoljan je samo jedan uragan da izazove ogromnu štetu”
Najnovija prognoza dolazi nakon izveštaja meteorologa iz “AccuWeather-a”, koji su savetovali Amerikancima, posebno u Virdžiniji, Karolinama, Floridi, Alabami, Misisipiju i Luizijani, da već sada počnu sa pripremama za potencijalno razorno vreme.
– Nema razloga da ove godine spustite gard. Dovoljan je samo jedan uragan da izazove veliku štetu, poremećaje i bol. Proverite svoje osiguranje, planove bezbednosti i lokalne rute za evakuaciju već sada. Uverite se da su vam zalihe za vanredne situacije spremne – rekao je Aleks Dasilva glavni stručnjak za uragane iz “AccuWeather-a”.
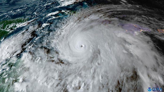
Foto: Ricardo MAKYN / AFP / Profimedia
+2
Galerija
Gde bi uragan mogao da udari
Prognostičari procenjuju 15 odsto šanse da veliki uragan pogodi istočnu obalu SAD, uključujući Floridu, dok obala Meksičkog zaliva ima 20 odsto rizika, od Floride do južnog Teksasa.
Najveća opasnost, ipak, preti Karibima, gde su šanse za veliki uragan čak 35 odsto.
Sezona uragana traje od 1. juna do 30. novembra, a tim sa Univerziteta u Koloradu napominje da se njihova godišnja prognoza smatra zlatnim standardom, ali da su prognoze podložne promenama.
(Daily Mail)
Ilustracija: uragan (Foto: AA/ABACA / Abaca Press / Profimedia)
Uragan “Melisa” (Foto: Ricardo MAKYN / AFP / Profimedia)







